

Specifically for factories. Living is permitted, but the environment is not optimized for residential comfort.
Development is encouraged. Infrastructure like roads, water, and sewage is prioritized and well-maintained.
| Year | Price/Size | Total Units |
|---|---|---|
| 2025 | $66 Prices: $66 / $39 / $71 / $101 / $68 / $48 / $67 / $71 | 8 |
| 2023 | $49 Prices: $34 / $64 | 2 |
| 2022 | $63 Prices: $63 | 1 |
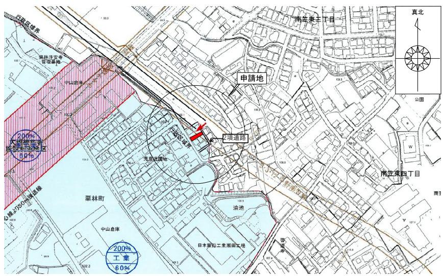
| Name | 滋賀県大津市栗林町 新築戸建 |
|---|---|
| Building Name | - |
| Address | 滋賀県大津市栗林町 |
| Floor plan | LDK |
| Price | $230,747 |
|---|
| Land size | 136.53 |
|---|---|
| Size | 99.58 |
| 私道負担 | - |
| セットバック | 有 |
| Transit | 南草津 (23 Min Walk) 瀬田 (23 Min Walk) |
|---|
| Year built | February 2026 |
|---|---|
| Total floors | 2 Floor |
| Total basement floors | - |
| Structure | 木造 |
| Units for sale | - |
| Terrain | - |
|---|
| Parking lot available | - |
|---|---|
| Parking monthly fee | - |
| District | 工業地域 |
|---|---|
| City plan zone | 市街化区域 |
| Building coverage ratio | 60 % |
| Floor area ratio | 200 % |
| For investment | No |
|---|---|
| Gross yield | - |
| Status | 未完成 |
|---|---|
| 現況詳細 | 未完成 |
| 引渡時期 | - |
