

A general residential zone. Allows larger buildings and shops. Expect a mix of houses, apartments, and businesses.
Development is encouraged. Infrastructure like roads, water, and sewage is prioritized and well-maintained.
| Year | Price/Size | Total Units |
|---|---|---|
| 2025 | $105 Prices: $219 / $134 / $53 / $66 / $53 | 5 |
| 2023 | $79 Prices: $64 / $61 / $186 / $120 / $43 / $61 / $47 / $52 | 8 |
| 2022 | $79 Prices: $64 / $61 / $187 / $116 / $43 / $61 / $47 / $52 | 8 |
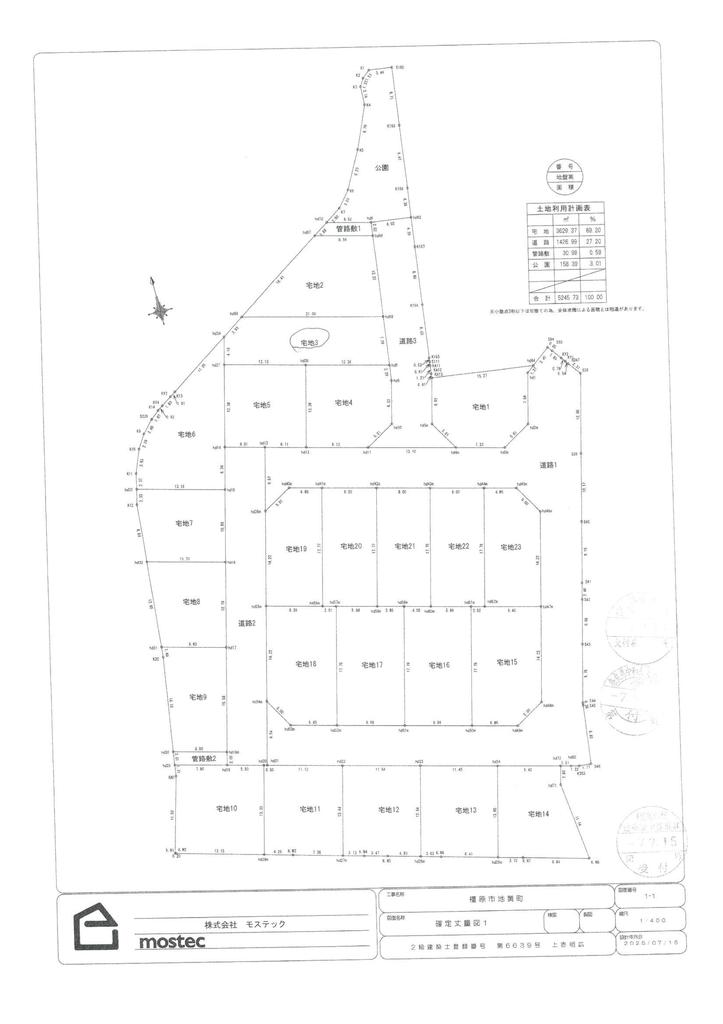
| Name | 奈良県橿原市地黄町 売地 |
|---|---|
| Building Name | - |
| Address | 奈良県橿原市地黄町 |
| Price | $118,431 |
|---|
| Land size | 168.83 |
|---|---|
| 私道負担 | - |
| セットバック | 無 |
| Transit | 大和八木 (17 Min Walk) 真菅 (18 Min Walk) |
|---|
| Terrain | 平坦 |
|---|
| District | 第1種住居地域 |
|---|---|
| City plan zone | 市街化区域 |
| Building coverage ratio | 60 % |
| Floor area ratio | 200 % |
| For investment | No |
|---|---|
| Gross yield | - |
| Status | 更地 |
|---|---|
| 現況詳細 | 更地 |
| 引渡時期 | - |
