Open Room
en.openrm.jp
Buy
Rent
USD / ft²
Home
Buy
Nara
Kashihara
Okubocho, Kashihara, Nara
Back To Search Results
1 / 3
LDK House Near Station in Okubocho
Okubocho, Kashihara, Nara
•
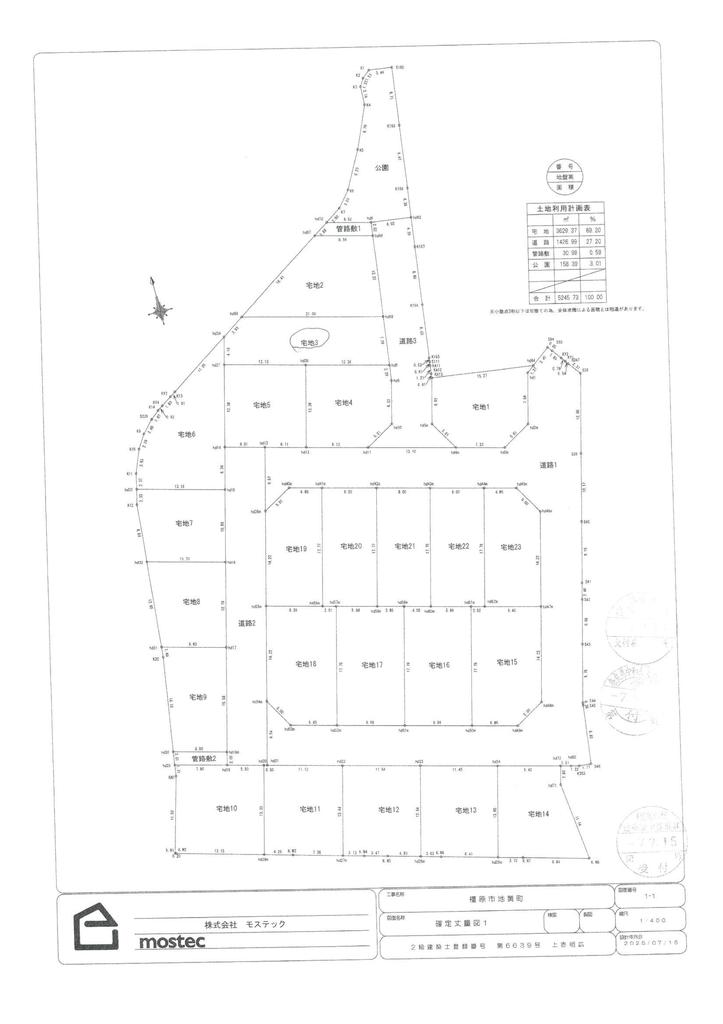
奈良県橿原市大久保町366番4(地番)
Price
$187,351
Layout & Size
3 rooms / LDK /
1,046.3 ft²
Listed
12/1/2025
Property Type
sale
Price/Size
$179.1
Last Updated: January 24, 2026
Features & Amenities
System Kitchen
Bathroom Dryer
Roof Balcony
Other Features
City Gas
Electricity
Water Supply
Sewerage
Counter Kitchen
Water Purifier
Hot Water Supply
Heated Toilet Seat With Bidet
Shampoo Dresser
24-Hour Ventilation System
Storage Space
Underfloor Storage
Walk-In Shoe Closet
Intercom With Monitor
Fire Alarm Installed
Transit
Nearby Stations
Unebigoryōmae Station
Kintetsu Kashihara Line
4 min walk
Kashiharajingū-mae Station
Kintetsu Yoshino Line
15 min walk
Kashiharajingū-mae Station
Kintetsu Kashihara Line
15 min walk
Other Available Units In This Building
City Gas
Electricity
Water Supply
$123,470
Land in Jiocho
Jiocho, Kashihara, Nara
1,817.3 ft²
Land
Yamato-Yagi Station 17 min walk
Neighborhood Map
Show Stations
Show Bus Stops
Show Schools
Hazard Maps
奈良県橿原市大久保町156
奈良県橿原市大久保町454-10
奈良県橿原市大久保町152
奈良県橿原市四条町840
奈良県橿原市今井町2-11-8
奈良県橿原市縄手町324
Unebigoryōmae Station
Kashiharajingū-mae Station
Kashiharajingū-mae Station
$187,351
Neighborhood
View detailed livability data
Nearby Schools
橿原市立畝傍北小学校
Elementary School
0.3 km
奈良県病院協会看護専門学校
School
0.3 km
橿原市立畝傍北幼稚園
Kindergarden
0.4 km
Area Information
Elementary School Zone
畝傍北小学校
Junior High School Zone
畝傍中学校
Urban Plan Zone
大和都市計画区域
Land Price History
Year
Average Price / m²
Data Points
2025
$78
Prices:
$78
1
2023
$59
Prices:
$53 / $63 / $45 / $74
4
2022
$59
Prices:
$53 / $63 / $45 / $74
4
Show All
Have Questions?
Request More Info?
Contact Agent
Toyo Tanuma
Open Room Inc.