Open Room
en.openrm.jp
Buy
Rent
USD / ft²
Home
Buy
Nara
Kashihara
Tokiwacho, Kashihara, Nara
Back To Search Results
1 / 3
Land Near Station in Tokiwacho
Tokiwacho, Kashihara, Nara
•
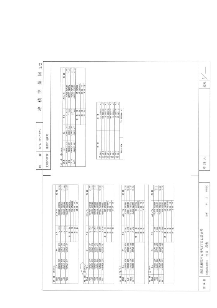
奈良県橿原市常盤町126番(地番)
Price
$142,839
Layout & Size
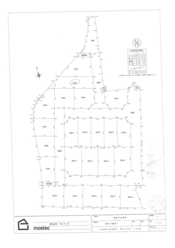
1,548.8 ft²
Listed
11/26/2025
Property Type
sale
Price/Size
$92.2
Last Updated: November 28, 2025
Features & Amenities
Other Features
City Gas
Electricity
Water Supply
Sewerage
Transit
Nearby Stations
Miminashi Station
Kintetsu Osaka Line
6 min walk
Kaguyama Station
Sakurai Line
15 min walk
Other Available Units In This Building
City Gas
Electricity
Water Supply
$124,362
Land in Jiocho
Jiocho, Kashihara, Nara
1,817.3 ft²
Land
Yamato-Yagi Station 17 min walk
Neighborhood Map
Show Stations
Show Bus Stops
Show Schools
Hazard Maps
奈良県橿原市常盤町332-5
奈良県橿原市常盤町3
奈良県橿原市山之坊町109-5
奈良県橿原市法花寺町79
奈良県橿原市新賀町33
奈良県橿原市葛本町625
奈良県桜井市大福820
奈良県橿原市葛本町593
奈良県桜井市大福356
Miminashi Station
Kaguyama Station
$142,839
Neighborhood
View detailed livability data
Nearby Schools
常盤幼稚園
Kindergarden
0.3 km
橿原市立耳成南小学校
Elementary School
0.5 km
橿原市立耳成南幼稚園
Kindergarden
0.5 km
Area Information
Elementary School Zone
耳成南小学校
Junior High School Zone
八木中学校
Urban Plan Zone
大和都市計画区域
Land Price History
Year
Average Price / m²
Data Points
2025
$54
Prices:
$54
1
2023
$48
Prices:
$56 / $49 / $35 / $49 / $51
5
2022
$48
Prices:
$56 / $49 / $35 / $49 / $51
5
Show All
Nearby Properties You May Like
$131,045
Land in Tokiwacho
Tokiwacho, Kashihara, Nara
3,720.5 ft²
Land
Miminashi Station 12 min walk
Have Questions?
Request More Info?
Contact Agent
Toyo Tanuma
Open Room Inc.